The Cemetery at Rye Park, New South Wales


The cemetery diagram and the headstone information were provided by Kerrie Sheather.

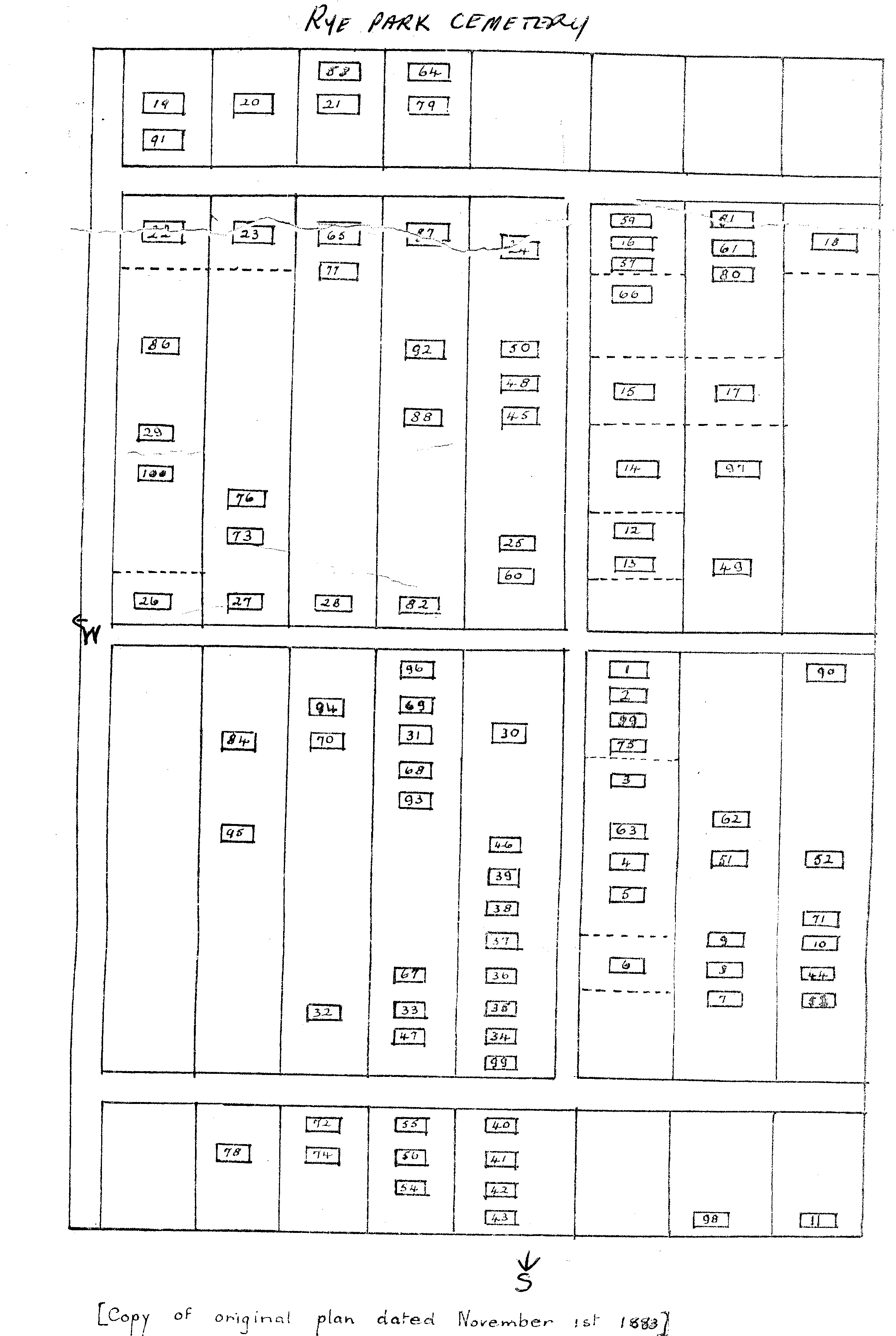
A diagram of the area and inscriptions on the headstones may be found in the following links:


Back to the Cemeteries Page


Please address requests for photographs/images,
and send comments or queries, to Graeme Challinor
gumtrees@gundaroo.info
Post Office Gundaroo, NSW 2620, Australia
Phone 02 62368166